
Ураган "Харві": жителі Техасу публікують наслідки стихійного лиха (ФОТО, ВІДЕО)
Автор
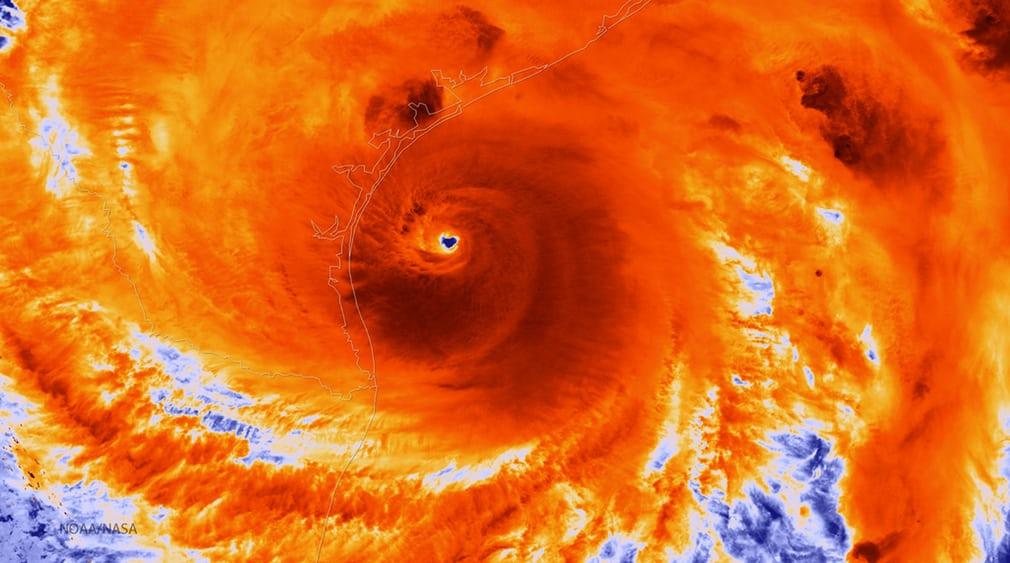
В Техасі оголосили режим стихійного лиха через ураган «Харві» ,Громадське радіо вибрало фотографії та відео свідків стихійного лиха

1x
Прослухати
--:--
--:--
Президент США Дональд Трамп оголосив в Техасі режим стихійного лиха через ураган «Харві».


Може бути цікаво


Україна і США погодили окремий військовий документ на рівні Генштабів, аналогічна робота триває з Європою — Гнатов
5 год тому

Зеленський розповів про перші підсумки сьогоднішньої роботи з радниками з нацбезпеки держав-партнерів
6 год тому

На Сумщині через ворожу атаку загинув цивільний: чоловік йшов по воду, коли його атакував російський FPV-дрон
6 год тому