
«Це буде один з найсильніших ураганів у Луїзіані з 1850-х»: у США чекають на шторм «Іда»

На узбережжі штату Луїзіана у США очікується потужний шторм «Іда». 16 років тому ураган «Катріна» забрав понад 1800 життів на цьому ж узбережжі.
Про це пише The Guardian.
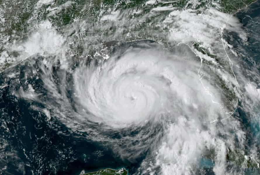
Метеорологи попереджають, що «Іда» загрожує вітрами зі швидкістю 210 км/год, небезпечними для життя штормовими хвилями та сильним дощем.
«Це буде один з найсильніших ураганів у Луїзіані з 1850-х років», – сказав губернатор штату Джон Бел Едвардс.
Десятки тисяч мешканців та мешканок південного узбережжя штату закликають евакуюватися. Також виїхати закликають з Нового Орлеану. У міжнародному аеропорту імені Луї Армстронга скасують усі польоти.
29 серпня 2005 року ураган «Катріна» знищив сотні будинків у Новому Орлеані після того, як система міських дамб вийшла з ладу. Місто відновлювали роками. Проте нині уряд США вклав мільярди доларів у насипи, аби укріпити місто. Губернатор запевняє: цього разу штату вдасться пройти випробування ураганом.
Національна гвардія Луїзіани розмістила 5 тисяч військовослужбовців по всьому штату для підготовки до пошуково-рятувальних місій. Очікують також на масові відключення електроенергії, тому 10 тисяч електриків також готові до реагування.
Ага Хасану, 25-річному оператору, що напередодні увечері спокійно пив пиво у барі в Новому Орлеані, було 10 років, коли ураган «Катріна» руйнував місто.
«Кожні чотири роки у нас стається страшний ураган. Усі, кого я знаю, хто були у цьому місті під час усіх цих сильних ураганів, і цього разу нікуди не подінуться. Я теж вирішив залишитися», — сказав він виданню.
Точне місце на суші, що постраждає від «Іди», поки невідоме. Про ураган попереджають людей від округу Вермільйон на півдні Луїзіани до Нового Орлеана. Попередження про шторм поширюються також на прибережні Міссісіпі та Алабаму.
Підтримуйте Громадське радіо на Patreon, а також встановлюйте наш додаток:
якщо у вас Android
якщо у вас iOS
Може бути цікаво


Речник ДСНС Сумщини розповів про труднощі в роботі рятувальників після нічних обстрілів

Суд арештував з правом застави київську патрульну Анну Дудіну: вона вважає обвинувачення несправедливим
