Війна
Обрати рубрику

В Києві продовжується епідемія фарбування води - постраждала річка Либідь

У Києві суд призначив автору графіті 60 годин громадських робіт
«Обыск» в доме крымчанина Параламова проводили люди в гражданском и без опознавательных знаков, — адвокат

Італійська газета, анонсуючи матч «Шахтар» — «Наполі», «відрізала» Крим від України
Найближчої години в Києві вітер посилиться до 15-18 м/с

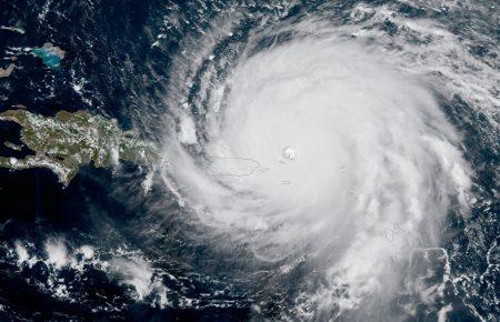
Через ураган «Ірма» рятівники евакуювали двох українців з острова Сен-Мартен

Сьогодні — 90 річниця встановлення пам’ятника Артему у Святогірську

До України прибув перший балкер з американським вугіллям (ФОТО)

США готові фінансувати миротворчу місію ООН на Донбасі — Климпуш-Цинцадзе

У Балаклії до 1 жовтня нададуть житло власникам усіх зруйнованих будинків
Безпілотник ОБСЄ зафіксував 40 танків недалеко від окупованого Донецька

Опубліковано листи Павла Гриба до дівчини, до якої він поїхав у Білорусь (ФОТО)

У Прип’яті запустили колесо огляду. Активісти готують скаргу (ВІДЕО)

На церемонії нагородження у так званій «ЛНР» спортсмен накинув на плечі прапор України (ФОТО)
Скільки ФОПів закрилося з початку року? Останні дані Фіскальної служби
Прокуратура України проводить екстрадиційну перевірку щодо Саакашвілі
Від сьогодні у київському метро курсуватиме мистецький потяг «Енеїда» (ФОТО)
