
За кордоном
Обрати рубрику


В Марселі чоловік з ножем напав на перехожих в центрі міста, троє людей постраждали

«Захід-2017»: як Росія порушує міжнародні угоди?

Громадяни Китаю більше не зможуть відкривати бізнес у Північній Кореї

16 членів посольства США на Кубі тимчасово втратили слух

У Білорусії заарештований опозиціонер Микола Статкевич

Ураган "Харві": жителі Техасу публікують наслідки стихійного лиха (ФОТО, ВІДЕО)

Місто Талль-Афар штурмом звільнили від бойовиків ІДІЛ

Нафтовий танкер з 1,4 мільйонами літрів палива сів на мілину поблизу Нью-Йорка

Поліція застрелила терориста у Брюсселі

Радник Трампа із нацбезпеки пішов з посади

На фестивалі в Іспанії делегація РФ презентувала львівське пиво як російське (ФОТО)

Розбитий американський гелікоптер знайшли поблизу узбережжя Ємену

Трамп заборонив Пентагону оплачувати операції зі зміни статі та приймати трансгендерів на службу в армію

В Лондоні відділ боротьби з тероризмом розслідуватиме напад на поліцейських

Безпілотні автобуси в Таллінні почали порушувати правила руху

Північна Корея здійснила черговий запуск ракет, вони впали в Японське море

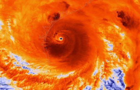
В Техасі оголосили режим стихійного лиха через ураган «Харві» (ВІДЕО)
