
За кордоном
За кордоном


Президент Словенії запропонував ЄС надати «особливий статус» Україні і Туреччині

Слідчі Нідерландів, які розслідують збиття Boeing MH17 заявили, що хочуть поговорити з Цемахом — ЗМІ

У РФ розбився штурмовик, льотчиків поки що не знайшли

В ДПСУ розповіли, яку зброю від початку року виявили на кордоні з Білоруссю

Двоє росіян, причетних до нафтової угоди, з якої мали фінансуватися праві сили Італії, пов'язані з Путіним — ЗМІ

У Чехії народилася дитина через 117 днів після смерті мозку матері

В РФ у справі ексміністра затримали громадянку України

Пристайко заявив про «певний успіх» на попередніх переговорах радників голів держав «нормандської четвірки»

У московському СІЗО «Лефортово» взяли передачі для українських моряків і політв'язнів — журналіст

Пристайко прилетів до Берліна на попередні переговори щодо майбутньої зустрічі у «нормандському форматі»

Тисячі школярів і студентів у Гонконгу бойкотували перший день навчання на підтримку протестів

У США випустять із в'язниці чоловіка, який отримав довічне ув'язнення за крадіжку 50 доларів

У трьох штатах США оголосили евакуацію у зв'язку з наближенням урагану «Доріан»

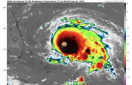
Ураган «Доріан» посилився до 5 рівня

У Норвегії розбився гелікоптер, загинули 6 людей

Поліція Гонконгу штурмувала метро, де ховалися протестувальники

У Техасі під час стрілянини загинули 5 людей, нападника застрелили

Тимчасові табори та ймовірність депортації: в Індії понад 1,9 млн людей не включили до реєстру громадян
